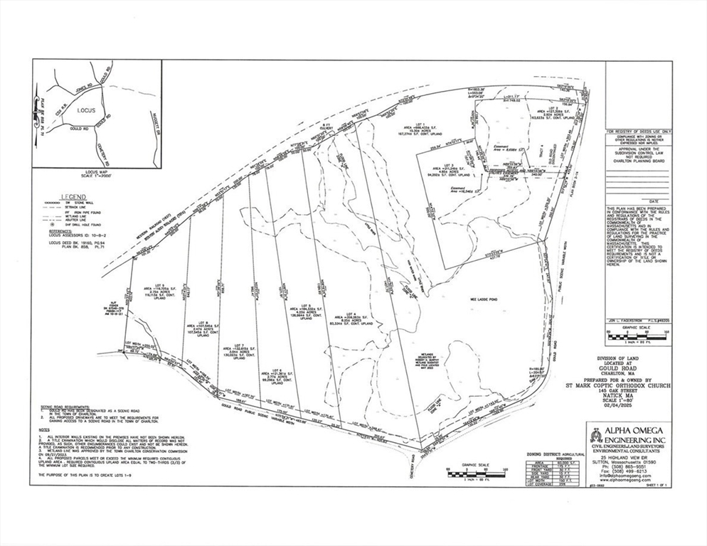
Lot 5 Gould RoadCharlton, MA 01507
Due to the health concerns created by Coronavirus we are offering personal 1-1 online video walkthough tours where possible.




One of 9 ANR lots in a newly approved subdivision on a mid-state rail trail country road. Lot 5 has 2 small pockets of wetlands with 2.9 acres of continuous upland to build on. No wetland crossing required. Pole 27 if in the middle of the frontage. Survey and Soil test results which were witnessed and approved by the Board of Health agent are attached as Documents. Seller will remove the land from 61B tax status prior to closing. There are 6 other lots available in MLS if you are looking for more land. The engineer working with the seller can provide all engineering and survey work required for septic system, residential storm water management if needed, and plot plan with your home design on it for an additional cost paid directly to them.
| a month ago | Listing updated with changes from the MLS® | |
| a month ago | Status changed to Pending | |
| a month ago | Listing first seen on site |
The property listing data and information, or the Images, set forth herein were provided to MLS Property Information Network, Inc. from third party sources, including sellers, lessors, landlords, and public records, and were compiled by MLS Property Information Network, Inc. The property listing data and information, and the Images, are for the personal, non-commercial use of consumers having a good faith interest in purchasing, leasing or renting listed properties of the type displayed to them and may not be used for any purpose other than to identify prospective properties which such consumers may have a good faith interest in purchasing, leasing or renting. MLS Property Information Network, Inc. and its subscribers disclaim any and all representations and warranties as to the accuracy of the property listing data and information, or as to the accuracy of any of the Images, set forth herein.
Last checked 2026-04-28 05:34 PM UTC

