00 Juniper LaneWebster, MA 01570
Due to the health concerns created by Coronavirus we are offering personal 1-1 online video walkthough tours where possible.




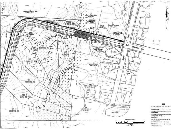
Town Sewer & Water at Street. 21+ Acres, Fast access to Highway, close to schools, towns and Webster Lake. Ideal family compound lot or 16 Lots (lots 1 & 2 are abutters), recorded 1988 subdiv. plan & 2005 revised Prelim subdiv.plan. Abutting landowners in exchange, their land known as lots 1 and 2 become street front lots or abutters may agree compensation for road widening easement . Buyer's shall be responsible to verify all and to perform their own due diligence. Listing Broker or their agents make no representations or warranties are made as to the accuracy or completeness of the information contained in any offering materials, and nothing contained in the offering materials is or should be relied upon as a promise or representation. Quiet neighborhood of cul-de-sac streets. Take Rte.395,exit 1 to Thompson(Rte 193) Lake Parkway, land located off Juniper Ln. across from Cranberry Rd. and right of # 6 Juniper Ln. See attached plans. Recent engineering done for Solar Field project
| a month ago | Listing updated with changes from the MLS® | |
| a month ago | Listing first seen on site |
The property listing data and information, or the Images, set forth herein were provided to MLS Property Information Network, Inc. from third party sources, including sellers, lessors, landlords, and public records, and were compiled by MLS Property Information Network, Inc. The property listing data and information, and the Images, are for the personal, non-commercial use of consumers having a good faith interest in purchasing, leasing or renting listed properties of the type displayed to them and may not be used for any purpose other than to identify prospective properties which such consumers may have a good faith interest in purchasing, leasing or renting. MLS Property Information Network, Inc. and its subscribers disclaim any and all representations and warranties as to the accuracy of the property listing data and information, or as to the accuracy of any of the Images, set forth herein.
Last checked 2026-01-01 01:24 AM UTC


Did you know? You can invite friends and family to your search. They can join your search, rate and discuss listings with you.