0 Blood RoadCharlton, MA 01507
Due to the health concerns created by Coronavirus we are offering personal 1-1 online video walkthough tours where possible.




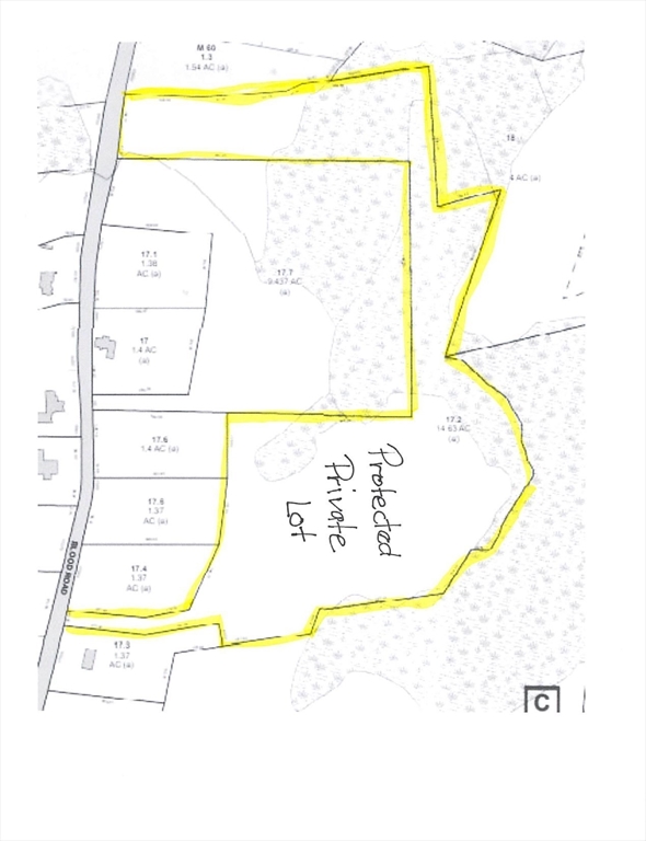
Escape to your own private sanctuary in Charlton. This remarkable 14-acre lot on Blood Road offers the perfect blend of natural beauty and convenience, providing a private haven for anyone who loves the outdoors. The property features a beautiful pond and expansive wooded areas, creating a secluded and unique parcel. The land’s thoughtful layout ensures ultimate privacy, with a long driveway leading into the heart of the property, Despite its peaceful, rural feel this lot is situated within an established neighborhood, offering the security and community of a well-regarded area while being close to amenities, schools, and major routes. Whether you’re an avid hiker, a nature enthusiast, or simply seeking a quiet place to call home, this property provides the ideal backdrop for your next chapter.
| a month ago | Listing updated with changes from the MLS® | |
| a month ago | Status changed to Active | |
| 6 months ago | Listing first seen on site |
The property listing data and information, or the Images, set forth herein were provided to MLS Property Information Network, Inc. from third party sources, including sellers, lessors, landlords, and public records, and were compiled by MLS Property Information Network, Inc. The property listing data and information, and the Images, are for the personal, non-commercial use of consumers having a good faith interest in purchasing, leasing or renting listed properties of the type displayed to them and may not be used for any purpose other than to identify prospective properties which such consumers may have a good faith interest in purchasing, leasing or renting. MLS Property Information Network, Inc. and its subscribers disclaim any and all representations and warranties as to the accuracy of the property listing data and information, or as to the accuracy of any of the Images, set forth herein.
Last checked 2026-02-26 12:53 AM UTC


Did you know? You can invite friends and family to your search. They can join your search, rate and discuss listings with you.